조황관리HOME / 조황관리 / 상세정보

제목 : 갑이벤출조 조황.화요일부터 주꾸미 쭉~출조모집.매일매일 행운추첨중.쭉~쭈선수모집
등록일 : 2025-11-09
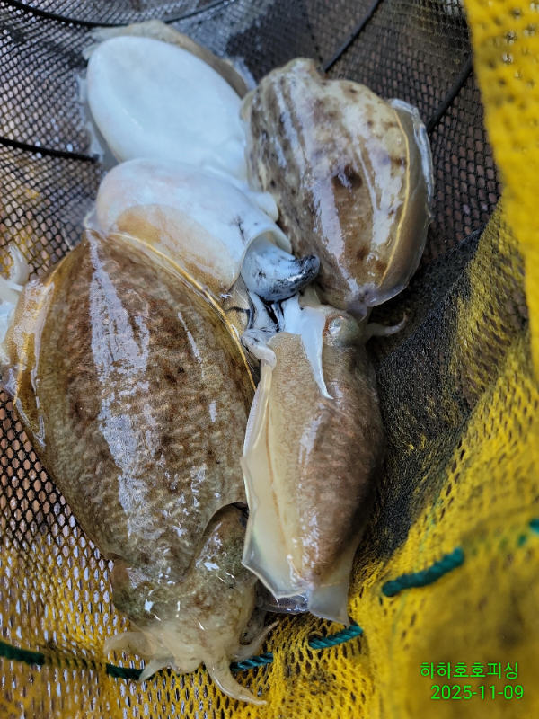
#갑오징어 
토.일요일 갑조황입니다.
오전에는 이건 뭐지? 할정도로 안나왔습니다.
계란사이즈피해서 많이도 다녔습니다.
날씨나 물때가 좋았지만
전체적으로 안나왔습니다.
조류가 바뀌면서 특정지역에서
큰사이즈로 넉넉하게 즐기실만큼 잡고 입항했습니다.
수고많으셨습니다.
 
쭈이벤 갑이벤 결정되고나니
마음은 편하네요.ㅎ
 
화요일부터는 쭈만 출조합니다
물때 상관없이 조류 약한곳에서 괜찮게 나옵니다.
쭉~주꾸미 예약중입니다.
 
매일매일 행운추첨은 쭈시즌 마칠때까지 
계속 진행합니다.
 
왕주꾸미 즐기시러 오세요.
 
●정상프로필 밴드회원만 시상합니다●
 
하하호호피싱 밴드가입하기

하하호호피싱 지금바로 예약하기
 
IMG_20251109_154132.jpg


IMG_20251109_154150.jpg


IMG_20251109_154006.jpg


IMG_20251109_154027.jpg


IMG_20251109_154054.jpg


IMG_20251109_154117.jpg


20251109_192323.jpg


20251109_192307.jpg


20251109_133701.jpg


20251109_133642.jpg


20251109_133619.jpg


20251109_133606.jpg

아래사진은 어제 토요일 조황입니다



20251108_192353.jpg


20251108_192340.jpg


20251108_192228.jpg


20251108_192212.jpg


20251108_192118.jpg

 



*** 사천 하하호호피싱 예약 안내 ***


예약문의 : 010-2559-1286
오시는길 : 경남 사천시 팔포3길 56-35

홈페이지 : http://hahahoho.sunsang24.com/

모바일.gif


Top